伟业综合楼建设项目规划设计方案
伟业综合楼建设项目规划设计方案,依据《中华人民共和国城乡规划法》《甘肃省城乡规划条例》《甘肃省建设项目规划许可管理办法》,现将该项目规划设计方案情况如下:
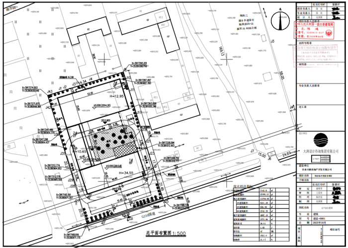
一、项目拟选位置
康乐县康丰乡道家村。
二、建设内容
总用地面积7142㎡,商业用地,新建8层1栋、2层2栋及附属设施,总建筑面积15888.31㎡。
三、如有意见和建议请以书面形式反馈康乐县自然资源局(单位需盖公章,个人需署真实姓名及联系方式)。
联系电话:0930-4421482 联系地址:康乐县胭脂路5号(康乐县自然资源局)
附:总平面图
