康乐县嘉诚新型建材生产加工车间建设项目规划设计方案
康乐县嘉诚新型建材生产加工车间建设项目建筑方案设计,依据《中华人民共和国城乡规划法》《甘肃省城乡规划条例》《甘肃省建设项目规划许可管理办法》,现将该项目规划设计方案情况如下:
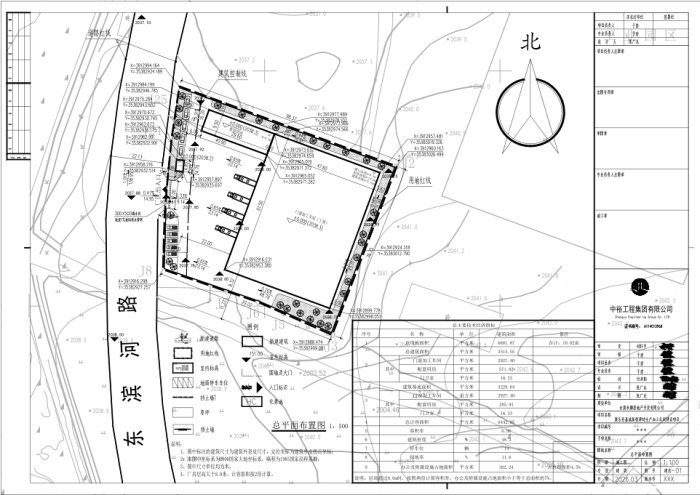
一、项目拟选位置
附城镇高丰村。
二、建设内容
总用地面积6682㎡,新建1层门窗加工车间、2层配套用房及附属设施,总建筑面积3515.55㎡。容积率0.96,建筑密度48.3%,绿地率11.6%,停车位14辆。
三、如有意见和建议请以书面形式反馈康乐县自然资源局(单位需盖公章,个人需署真实姓名及联系方式)。
联系电话:0930-4421482 联系地址:康乐县胭脂路5号(康乐县自然资源局)
附:总平面图
